Cvg Arrivals Directions Have Changed Due To Major Construction

Cvg Arrivals Directions Have Changed Due To Major Construction

CVG: How good is the airport, how busy is the airport?

CVG Shuttle: Get to & From Your Flight | CVG International Airport

CVG Shuttle: Get to & From Your Flight | CVG International Airport

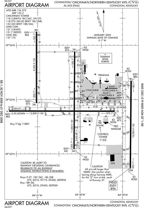
Cincinnati N Kentucky Airport CVG Terminal 2 Map

Cincinnati N Kentucky Airport CVG Terminal 2 Map

Read also: Altitude Of Saas-fee Switzerland Makes It A Year Round Skiing Haven

close